Photogrammétrie

La photogrammétrie par drone est une technique de mesure et de modélisation 3D qui utilise des photographies aériennes capturées par un drone, combinées à un logiciel spécialisé, pour reconstruire numériquement et avec précision la forme, la position et les dimensions d’un objet, d’une structure ou d’un terrain. Elle s’appuie sur le principe de la triangulation et de la vision stéréoscopique, similaire à la façon dont nos deux yeux nous permettent de percevoir le relief. Elle utilise un type de drone différent de celui pour l’inspection.
L’utilisation du drone a révolutionné cette technique grâce à :

  • Sécurité Accrue : Élimine le besoin pour le personnel d’accéder à des zones dangereuses (falaises, toits, ponts, intérieurs de structures).
  • Rapidité et Efficacité : La capture des données aériennes est réalisée en une fraction du temps nécessaire pour des relevés terrestres manuels.
  • Précision Élevée : Les modèles générés peuvent offrir une précision centimétrique, particulièrement avec l’utilisation de drones RTK.
    Réduction des Coûts : Moins de main-d’œuvre, moins d’équipement lourd (comme des nacelles ou des hélicoptères) et moins de temps passé sur le terrain.
  • Collecte Complète de Données : Création d’un enregistrement permanent, exhaustif et mesurable de l’état du site à un instant t.
    La photogrammétrie par drone est largement utilisée dans la topographie (géomètres), l’architecture, le génie civil, la construction et l’inspection d’ouvrages d’art.

Chez MetaDrone, nous utilisons, comme vecteur aérien, un drone dji Mavic 3 Entreprise, la référence absolue pour faire de la photogrammétrie de haute résolution. Il est équipé d’un module RTK qui permet d’avoir un positionnement centimétrique et d’obtenir, in fine, des modèles très précis.
Nous utilisons Metashape d’Agisoft, logiciel puissant pour traiter les données récoltées par nos drones. Les principaux livrables de ce logiciel sont :

  • Modèle 3D Maillé (Mesh) : Une représentation tridimensionnelle texturée et réaliste de l’objet ou du site.
  • Nuage de Points 3D Géoréférencé : Utilisé pour effectuer des mesures précises (distances, surfaces, volumes, cubatures).
  • Orthophotographie (ou Orthomosaïque) : Une image unique et à très haute résolution, corrigée des déformations liées à la perspective (similaire à une carte), permettant des mesures précises en 2D.
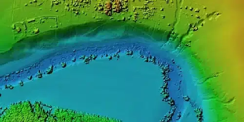
  • Modèles Numériques de Surface (MNS) et de Terrain (MNT) : Représentations de l’altitude du sol et des objets (bâtiments, végétation).
    Les domaines d’application sont extrêmement variés. Voici les principales étapes et les livrables obtenus avec cette technique:

Les principales étapes et les livrables obtenus avec cette technique

Processus de la photogrammétrie

Drone, photogrammétrie, Lyon, étude technique modélisation 3D

Modèle 3D texturé issu de la photogrammétrie

Drone, photogrammétrie, Lyon, étude technique, orthomosaïque

Orthophoto

Photogrammétrie, drone, Lyon, étude technique, modèle numérique de surface, modèle numérique de terrain

Modèle numérique d'élévation

Profil d'élévation

Prenons contact pour votre
inspection par drone autour de Lyon :

MetaDrone

13, Rue Gaston Brissac 69008 LYON
07.81.10.17.59